Rodinný dom na predaj 320m2, Záhradná, Bratislava - Devínska Nová Ves
330 000 €
Cena za: celkom
Cena za m2 : Infinity €/m2
Základne informácie:
Kategória:
Rodinný dom
Typ operácie:
Predaj
ID inzerátu:
159216
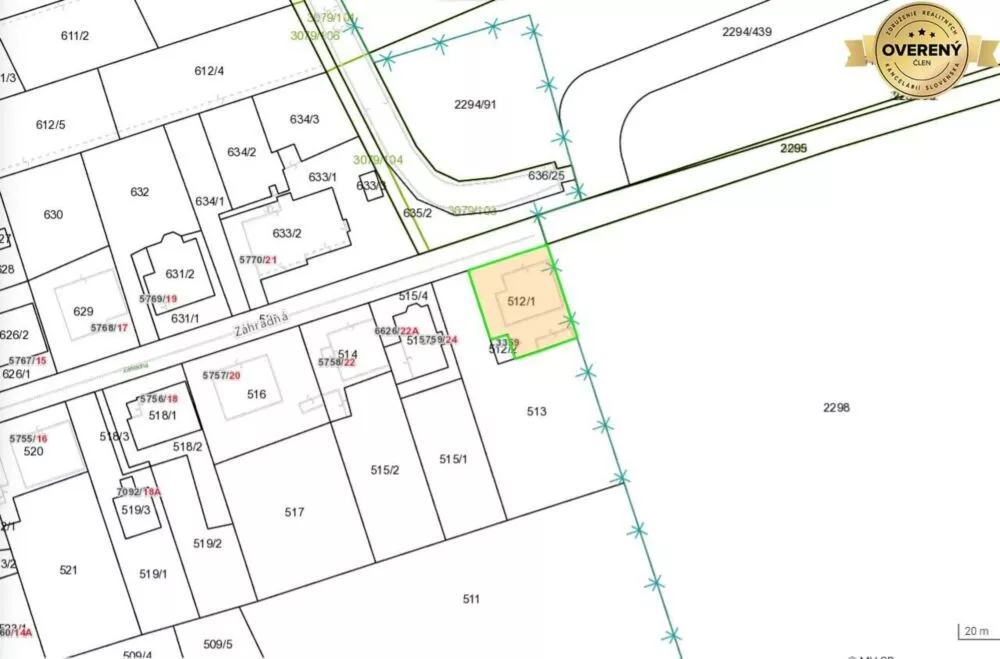
Plocha pozemku:
320
m2
Popis nehnuteľnosti:
Starší, no zdravý podpivničený rodinný dom s pevným betónovým monolitickým základom určený na rekonštrukciu alebo prestavbu na nový rodinný dom - projekt na nový rodinný dom je v cene a k dispozícii novému majiteľovi. Nehnuteľnosť je umiestnená na konci tichej ulice s výbornou dostupnosťou do mesta i na všetky dôležité dopravné uzly. V cene je aj stavba garáže na pozemku. Možnosť prikúpenia pozemku na vedľajšej parcele na Záhradnej ulici s rozlohou 931 m2, ktorej detailný popis nájdete v samostatnej ponuke na webovej stránke našej realitnej kancelárie. V prípade kúpy oboch pozemkov a seriózneho jednania je možné dohodnúť sa na finálnej sume s majiteľom oboch pozemkov.
Poloha nehnuteľnosti:
Mapa:

Prom Real, s. r. o.
0919 040 ... Zobraziť
info@promr ... Zobraziť